@Anuska_educa

Bio: Educadora infantil amante de la buena ortografía.

24 Publicaciones

2.08k Interacciones

7 Seguidores

0 Siguiendo

Lista de publicaciones de Anuska_educa

He publicado nuevos apuntes de 2º Necesidades Especificas de Apoyo Educativo: Resumen-NEAE.pdf

40 páginas

He publicado nuevos apuntes de 3º Literatura Infantil: Resumen-Literatura-Infantil.pdf

32 páginas

He publicado nuevos apuntes de 2º Aprendizaje de la Lectoescritura: Aprendizaje-de-lectoescritura-temario-completo-comprimido.pdf

541 páginas

He publicado nuevos apuntes de 2º Atención Temprana: niveles-y-ejes-de-ODAT.pdf

1 página

He publicado nuevos apuntes de 2º Atención Temprana: Indicadores-de-riesgo-asociados-a-los-tres-cursos-de-infantil.pdf

1 página

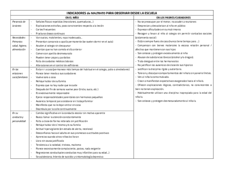
He publicado nuevos apuntes de 2º Atención Temprana: Indicadores-de-maltrato.pdf

2 páginas

He publicado nuevos apuntes de 2º Atención Temprana: factores-socio-familiares-de-riesgo-en-el-maltrato-infantil.pdf

1 página

He publicado nuevos pec de 2º Atención Temprana: PECAnaIsabelVINALCUTILLAS.pdf

22 páginas

He publicado nuevos apuntes de 3º Recursos para la Enseñanza del Inglés en Educación Infantil: Tabla-relacion-CE-y-Criterios-evaluacion.pdf

2 páginas

He publicado nuevos pec de 2º La Educación Infantil en Perspectiva Internacional: PEC-2AnaIsabelVinalCutillas.pdf

12 páginas

He publicado nuevos apuntes de 3º Literatura Infantil: Resumen-Literatura-Infantil-tema-1-al-4.pdf

16 páginas

He publicado nuevos pec de 2º Aprendizaje de la Lectoescritura: PEC1ALEVinal-Cutillas-Ana-Isabel.pdf

12 páginas

He publicado nuevos apuntes de 2º Aprendizaje de la Lectoescritura: VinalCutillasAnaIsabelPEC2ALE.pdf

19 páginas

He publicado nuevos apuntes de 2º Aprendizaje de la Lectoescritura: VinalCutillasAnaIsabelPEC3ALE.pdf

19 páginas

He publicado nuevos apuntes de 3º Recursos para la Enseñanza del Inglés en Educación Infantil: Ingles-temario-sin-pag-pajaremoved.pdf

199 páginas

He publicado nuevos apuntes de 3º Recursos para la Enseñanza del Inglés en Educación Infantil: Preguntas-de-comprension-RREIEI.pdf

13 páginas

He publicado nuevos apuntes de 3º Recursos para la Enseñanza del Inglés en Educación Infantil: GlosarioRRIEI.pdf

2 páginas

He publicado nuevos apuntes de 3º Recursos para la Enseñanza del Inglés en Educación Infantil: Preguntas-de-comprension.pdf

3 páginas

PEC de Literatura infantil de tercero (curso 2023/24) subida con un 9.5.

He publicado nuevos pec de 3º Literatura Infantil: PEC Literatura infantil _nota 9.5.pdf

31 páginas